土地・売り地|売買物件

一宮市
江南市
大口町
扶桑町
稲沢市
岩倉市
北名古屋市
その他のエリア
別荘地・山林 他

一宮市

一宮市浅野字西大土 24.20坪 売り地 New!

一宮市 売り地・土地

価 格  660万円(27.3万円/坪)
所在地  一宮市浅野字西大土93番7 [MAP]
交 通  名鉄・JR一宮総合駅 約2.7Km
土地面積 80.03㎡(約24.20坪)
土地権利 所有権
地 目  宅地 現 況  上物あり(居宅)※更地渡し
引渡条件 確定測量後渡し

都市計画 市街化区域
用途地域 準工業地域
建ぺい率 60%
容積率  200%
接道状況 側 幅員約4.9mの公道に接道
備 考  上下水道・電気・都市ガス


一宮市浅井町大日比野 343.94坪 売り地

一宮市 売り地・土地

価 格   商談中
所在地  一宮市浅井町大日比野字如来堂14番 [MAP]
交 通  名鉄「新木曽川」駅 約4.1km
土地面積 1137㎡(約343.94坪)
土地権利 所有権
地 目  畑(白地) 現 況  畑
引渡条件 確定測量渡し
都市計画 市街化調整区域
用途地域 指定なし

建ぺい率 60%
容積率  200%
接道状況 西側 幅員約4.8mの公道に接道
     北側 幅員約3.6mの公道に接道
備 考  上水道・電気・浄化槽・LPG

農地法等の許可が必要です。要資格?農地法?白地?青地?農振地域?調整区域?(一般の方は知らない方がほとんどです。 )ご不明な場合はご連絡ください。ご説明致します。


一宮市千秋町加納馬場 79.86坪 売り地

一宮市 売り地・土地

価 格  399万円(5.0万円/坪)
所在地  一宮市千秋町加納馬場字郷東62番 [MAP]
交 通  名鉄犬山線「石仏」駅 約1.0km
土地面積 264㎡(約79.86坪)
土地権利 所有権
地 目  畑(青地) 現 況  畑(雑木あり)
引渡条件 確定測量・更地渡し
都市計画 市街化調整区域
用途地域 指定なし

建ぺい率 60%
容積率  200%
接道状況 西側 幅員約3.6mの公道に接道
     北側 幅員約3.3mの公道に接道
備 考  上水道・電気・浄化槽・LPG

農地法等の許可が必要です。要資格?農地法?白地?青地?農振地域?調整区域?(一般の方は知らない方がほとんどです。 )ご不明な場合はご連絡ください。ご説明致します。


一宮市北小渕字山添 99.82坪 売り地 60万円 農用地

一宮市 売り地・土地

価 格  60万円(6千円/坪)
所在地  一宮市北小渕字山添165番 [MAP]
交 通  名鉄犬山線「石仏」駅 約3.6km
土地面積 330㎡(約99.82坪)
土地権利 所有権
地 目  畑(青地) 現 況  畑(雑木林)
引渡条件 原状渡し
都市計画 市街化調整区域
用途地域 指定なし

建ぺい率 60%
容積率  200%
接道状況 側 幅員約3.6mの公道に接道
備 考  上水道・電気・浄化槽・LPG

農地法等の許可が必要です。要資格?農地法?白地?青地?農振地域?調整区域?(一般の方は知らない方がほとんどです。 )ご不明な場合はご連絡ください。ご説明致します。


一宮市定水寺字古濃 483坪 売り地

一宮市 売り地・土地

価 格  2417万円(5.0万円/坪)
所在地  一宮市定水寺字古濃24番1 他 [MAP]
交 通  名鉄犬山線「石仏」駅 約3.8km
土地面積 1598㎡(約483.39坪)
土地権利 所有権
地 目  田(白地・青地) 現 況  田
引渡条件 確定測量渡し
都市計画 市街化調整区域
用途地域 指定なし

建ぺい率 60%
容積率  200%
接道状況 側 幅員約3.6mの公道に接道
     側 幅員約3.6m~3.7mの公道に接道
     側 幅員約7.8m~8.0mの公道に接道
備 考  上水道・電気・浄化槽・LPG

農地法等の許可が必要です。要資格?農地法?白地?青地?農振地域?調整区域?(一般の方は知らない方がほとんどです。)ご不明な場合はご連絡ください。ご説明致します。


一宮市千秋町浮野字冠羅 319坪 売り地

一宮市 売り地・土地

価 格  1278万円(4.0万円/坪)
所在地  一宮市千秋町浮野字冠羅18番1 他 [MAP]
交 通  名鉄犬山線「石仏」駅 約3.0km
土地面積 1056㎡(約319.44坪)
土地権利 所有権
地 目  田(青地) 現 況  田
引渡条件 確定測量渡し

都市計画 市街化調整区域
用途地域 指定なし
建ぺい率 60%
容積率  200%
接道状況 側 幅員約5.1mの公道に接道
備 考  上水道・電気・浄化槽・LPG

農地法等の許可が必要です。要資格?農地法?白地?青地?農振地域?調整区域?(一般の方は知らない方がほとんどです。)ご不明な場合はご連絡ください。ご説明致します。


一宮市浅井町極楽寺 400坪 売り地

一宮市 売り地・土地

価 格  1330万円(3.32万円/坪)
所在地  一宮市浅井町極楽寺字下田27番 他 [MAP]
交 通  JR「木曽川」駅 約3.4km
土地面積 1325.92㎡(約400.90坪)
土地権利 所有権
地 目  田・畑・宅地 現 況  更地
引渡条件 確定測量渡し

都市計画 市街化調整区域
用途地域 指定なし
建ぺい率 60%
容積率  200%
接道状況 側 幅員約5.4mの公道に接道
備 考  上水道・電気・浄化槽・LPG

農地法等の許可が必要です。要資格?農地法?白地?青地?農振地域?調整区域?(一般の方は知らない方がほとんどです。)ご不明な場合はご連絡ください。ご説明致します。


一宮市笹野字宮北田 601坪 売り地

一宮市 売り地・土地

価 格  5718万円(9.5万円/坪)
所在地  一宮市笹野字宮北田70番3 他 [MAP]
交 通  JR「木曽川」駅 約3.4km
土地面積 1989.70㎡(約601.88坪)
土地権利 所有権
地 目  宅地 現 況  上物あり
引渡条件 更地・確定測量渡し

都市計画 市街化調整区域
用途地域 指定なし
建ぺい率 60%
容積率  200%
接道状況 西側 幅員約6.6m~6.8mの公道に接道
備 考  上水道・電気・浄化槽・LPG


一宮市木曽川町里小牧 51.71坪 売り地 450万円!

住宅用地       
一宮市 売り地・土地

価 格  450万円(8.7万円/坪)
所在地  一宮市木曽川町里小牧字本茅場131-3 [MAP]
交 通  名鉄名古屋本線「黒田」駅 約1.7km
     JR東海道本線「木曽川」駅 約2.0km
土地面積 170.95㎡(約51.71坪)
土地権利 所有権
地 目  宅地
現 況  更地
引渡条件 相談

都市計画 市街化区域
用途地域 準住居地域
建ぺい率 60%
容積率  200%
接道状況 西側 幅員約2.8mのの公道に接道
     ※約60㎝セットバックが必要です
備 考


一宮市冨田字竹橋 古家付き売地

一宮市 売り地・土地

価 格   商談中
所在地  一宮市冨田字竹橋13番地1 他 [MAP]
交 通  名鉄「萩原」駅 約3.4㎞
土地(宅地) 472.71㎡(約142.99坪)
土地(農地) 489.00㎡(約147.92坪)※奥の砂利部分
土地権利 所有権
地 目  宅地・田(農振) 現 況  上物あり(3棟)
引渡条件 確定測量後渡し・建物原状渡し

都市計画 市街化調整区域
用途地域 指定なし
建ぺい率 60%
容積率  200%
接道状況 側 幅員約4.5mの私道に接道
備 考
 
建物① 64.45㎡(約19.49坪)奥 昭和43年築
 建物② 58.32㎡(約17.64坪)中 昭和43年築
 建物③ 81.34㎡(約24.60坪)手前 平成9年築
  ※ご購入頂く際は農地法の許可などが必要です


一宮市定水寺字稲荷前 491坪 売り地

一宮市 売り地・土地

価 格  
所在地  一宮市定水寺字稲荷前8番 他2筆 [MAP]
交 通  名鉄犬山線「石仏」駅 約3.4㎞
土地面積 1625㎡(約491.56坪)
土地権利 所有権
地 目  田
現 況  田
引渡条件 相談

都市計画 市街化調整区域
用途地域 指定なし
建ぺい率 60%
容積率  200%
接道状況 側 幅員約2.4m~2.7mの公道に接道
     西側 幅員約3.8m~5.0mの公道に接道
     南側 幅員約8.2mの公道(県道)に接道
備 考  上水道・電気・LPG・浄化槽


一宮市定水寺字稲荷前 720坪 売り地

一宮市 売り地・土地

価 格  
所在地  一宮市定水寺字稲荷前8番 他6筆 [MAP]
交 通  名鉄犬山線「石仏」駅 約3.4㎞
土地面積 2382.91㎡(約720.83坪)
土地権利 所有権
地 目  田・雑種地
現 況  田・雑種地
引渡条件 相談

都市計画 市街化調整区域
用途地域 指定なし
建ぺい率 60%
容積率  200%
接道状況 側 幅員約2.4m~2.7mの公道に接道
     西側 幅員約3.8m~5.0mの公道に接道
     南側 幅員約8.2mの公道(県道)に接道
備 考  上水道・電気・LPG・浄化槽


一宮市定水寺字定水寺 1463坪の売り地

一宮市 売り地・土地

価 格  10242万円(7.0万円/坪)
所在地  一宮市定水寺字砂連20番 他5筆 [MAP]
交 通  名鉄犬山線「石仏」駅 約3.4㎞
土地面積 4337㎡(約1463.19坪)
土地権利 所有権
地 目  畑 現 況  畑(銀杏畑 他)
引渡条件 相談

都市計画 市街化調整区域
用途地域 指定なし
建ぺい率 60%
容積率  200%
接道状況 側 幅員約3.6mの公道に接道
     西側 幅員約4.4mの公道に接道
     南側 幅員約3.6mの公道に接道
備 考  上水道・電気・LPG・浄化槽


一宮市定水寺字北畑

西成東小・西成東部中学区 ※要資格物件(白地)
一宮市 売り地・土地

価 格  999万円(5.0万円/坪)
所在地  一宮市定水寺字北畑49番 [MAP]
交 通  名鉄犬山線「布袋」駅 約3.1㎞
土地面積 661㎡(約199.95坪)
土地権利 所有権
地 目  畑(白地)
現 況  

引渡条件 相談
都市計画 
市街化調整区域
建ぺい率 60%
容積率  200%
接道状況 南西側 幅員約3.6mの公道に接道
     ※約20㎝セットバックが必要です        
備 考
農地法等の許可が必要です。要資格?農地法?白地?青地?農振地域?調整区域?(一般の方は知らない方がほとんどです )
ご不明な場合はご連絡ください。ご説明致します。


一宮市定水寺字北畑 380坪 売り地

西成東小・西成東部中学区 ※要資格物件(白地)
一宮市 売り地・土地

価 格  2660万円(7.0万円/坪)
所在地  一宮市定水寺字北畑44番 [MAP]
交 通  名鉄犬山線「布袋」駅 約3.1㎞
土地面積 1256㎡(約379.94坪)
土地権利 所有権
地 目  畑(白地)
現 況  

引渡条件 相談
都市計画 
市街化調整区域
建ぺい率 60%
容積率  200%
接道状況 北東側 幅員約3.6mの公道に接道
     ※約20㎝セットバックが必要です
     南東側 幅員約3.6mの公道に接道
     ※約20㎝セットバックが必要です
備 考
農地法等の許可が必要です。要資格?農地法?白地?青地?農振地域?調整区域?(一般の方は知らない方がほとんどです )
ご不明な場合はご連絡ください。ご説明致します。

一宮市大赤見字市場東屋敷

赤見小・西成東部中学区 ※要資格物件(白地)
一宮市 売り地・土地

価 格  910万円(8.0万円/坪)
所在地  一宮市大赤見字市場東屋敷5番、6番 [MAP]
交 通  「一宮総合駅」 約3.0km
土地面積 376㎡(約113.74坪)
土地権利 所有権
地 目  畑・田
現 況  更地(草生地)
引渡条件 相談

都市計画 市街化調整区域
建ぺい率 60%
容積率  200%
接道状況 北側 幅員約7.6mの公道に接道
     東側 幅員約4.0mの公道に接道 ※北東角地!
備 考
農地法等の許可が必要です。要資格?農地法?白地?青地?農振地域?調整区域?(一般の方は知らない方がほとんどです )
ご不明な場合はご連絡ください。ご説明致します。


一宮市大赤見字東出

赤見小・西成東部中学区 ※要資格物件(白地)
一宮市 売り地・土地

価 格  646万円(8.0万円/坪)
所在地  一宮市大赤見字東出2番 [MAP]
交 通  「一宮総合駅」 約3.2km
土地面積 267㎡(約80.76坪)
土地権利 所有権
地 目  田
現 況  更地(草生地)
引渡条件 相談

都市計画 市街化調整区域
建ぺい率 60%
容積率  200%
接道状況 北側 幅員約7.6mの公道に接道
     東側 幅員約3.6mの公道に接道 ※北東角地!
備 考
農地法等の許可が必要です。要資格?農地法?白地?青地?農振地域?調整区域?(一般の方は知らない方がほとんどです )
ご不明な場合はご連絡ください。ご説明致します。


一宮市大赤見字鷺目

※要資格物件(青地)
一宮市 売り地・土地

価 格  2429万円(10.0万円/坪)
所在地  一宮市大赤見字鷺目37番 [MAP]
交 通  「一宮総合駅」 約3.0km
土地面積 803㎡(約242.90坪)
土地権利 所有権
地 目  田
現 況  田
引渡条件 相談

都市計画 市街化調整区域
建ぺい率 60%
容積率  200%
接道状況 東側 幅員約5.0mの公道に接道
     南側 幅員約3.6mの公道に接道 ※東南角地!
備 考
農地法等の許可が必要です。要資格?農地法?白地?青地?農振地域?調整区域?(一般の方は知らない方がほとんどです )
ご不明な場合はご連絡ください。ご説明致します。


一宮市高田字宮廻り

※要資格物件(青地)      
一宮市 売り地・土地

価 格  1084万円(7.0万円/坪)
所在地  一宮市高田字宮廻り63番 [MAP]
交 通  名鉄名古屋本線「新木曽川」駅 約2.9km
     名鉄バス「高田」停 約260m
土地面積 512㎡(約154.88坪)
土地権利 所有権
地 目  田(青地)※農業振興地域
現 況  
引渡条件 相談
都市計画 市街化調整区域

建ぺい率 60%
容積率  200%
接道状況 北側 幅員約3.6mの公道に接道
     ※約40㎝セットバックが必要です
     東側 幅員約11mの公道(県道)に接道
※この県道は都市計画道路ですが事業計画は未定です
備 考
農地法等の許可が必要です。要資格?農地法?白地?青地?農振地域?調整区域?(一般の方は知らない方がほとんどです )
ご不明な場合はご連絡ください。ご説明致します。


一宮市高田字石塚

※要資格物件(青地)
一宮市 売り地・土地

価 格  1223万円(5.0万円/坪)
所在地  一宮市高田字石塚47番 [MAP]
交 通  名鉄名古屋本線「今伊勢」駅 約2.7㎞
     名鉄バス「高田」停 約500m
土地面積 809㎡(約244.72坪)
土地権利 所有権
地 目  田(青地)※農業振興地域
現 況  
引渡条件 相談

都市計画 市街化調整区域
建ぺい率 
60%
容積率  200%
接道状況 西側 幅員約3.6mの公道に接道
     ※約20㎝セットバックが必要です
備 考
農地法等の許可が必要です。要資格?農地法?白地?青地?農振地域?調整区域?(一般の方は知らない方がほとんどです )
ご不明な場合はご連絡ください。ご説明致します。


一宮市浅井町大野字北一色

浅井北小・浅井中学校区 ※要資格物件(白地)
一宮市 売り地・土地

価 格  530万円(7.6万円/坪)
所在地  一宮市浅井町大野字北一色37番1 [MAP]
交 通  JR「木曽川」駅 約4.5㎞
     名鉄バス「大野」停 約490m
土地面積 231.41㎡(約70.00坪)
土地権利 所有権
地 目  畑(白地)
現 況  
引渡条件 相談

都市計画 市街化調整区域
建ぺい率 
60%
容積率  200%
接道状況 南側 幅員約4.14mの公道に接道
備 考
農地法等の許可が必要です。要資格?農地法?白地?青地?農振地域?調整区域?(一般の方は知らない方がほとんどです )
ご不明な場合はご連絡ください。ご説明致します。


江南市

江南市小折東町旭 580坪 売り地

江南市 売り地・土地

価 格  2900万円(5.0万円/坪)
所在地  江南市小折東町旭207番 他 [MAP]
交 通  名鉄犬山線「石仏」駅 約1.1Km
土地面積 畑(1):1749㎡(約529.07坪)
     畑(2):168㎡(約50.82坪)
土地権利 所有権
地 目  畑(白地)

現 況  更地(草生地)
引渡条件 相談
都市計画 市街化調整区域
建ぺい率 
60%
容積率  200%
接道状況 北側(A) 幅員約4.9mの公道に接道
     東側(B) 幅員約3.0mの公道に接道(都市計画道路)
     南側(C) 幅員約4.0mの公道に接道
※上記(B)は都市計画道路(3・4・30 江南岩倉線 計画幅員16m)
備 考  
農地法等の許可が必要です。要資格?農地法?白地?青地?農振地域?調整区域?(一般の方は知らない方がほとんどです )
ご不明な場合はご連絡ください。ご説明致します。


江南市上奈良町天王

古知野西小・西部中学校区 ※要資格物件(白地)
江南市 売り地・土地

価 格  A区画:329万円(4.0万円/坪)
     B区画:367万円(4.5万円/坪)
所在地  江南市上奈良町天王271番 [MAP]
交 通  名鉄犬山線「江南」駅 約1.7㎞
土地面積 A区画:271.50㎡(約82.12坪)
     B区画:271.50㎡(約82.12坪)
※分筆未了のため区割り面積を変更する場合があります
土地権利 所有権
地 目  畑(白地)

現 況  更地(草生地)
引渡条件 相談
都市計画 市街化調整区域
建ぺい率 
60%
容積率  200%
接道状況 東側 幅員約8.5mの公道に接道
備 考  ※2区画同時購入の場合は657万円
農地法等の許可が必要です。要資格?農地法?白地?青地?農振地域?調整区域?(一般の方は知らない方がほとんどです )
ご不明な場合はご連絡ください。ご説明致します。


江南市五明町太子堂

布袋小・布袋中学校校区 ※要資格物件(白地)
江南市 売り地・土地

価 格  A区画:948万円(10.0万円/坪)
     B区画:成約済みになりました<(_ _)>
所在地  江南市五明町太子堂81番 [MAP]
交 通  名鉄犬山線「布袋」駅 約1.2㎞
土地面積 A区画:313.54㎡(約94.84坪)
     B区画:313.53㎡(約94.84坪)
土地権利 所有権
地 目  畑(白地)
現 況  更地(一部樹木等あり)

引渡条件 更地渡し
都市計画 
市街化調整区域
建ぺい率 
60%
容積率  200%
接道状況 北側 幅員約4.5mの公道に接道 ※A・B区画共
     西側 幅員約4.5mの公道に接道 ※A区画のみ
備 考
農地法等の許可が必要です。要資格?農地法?白地?青地?農振地域?調整区域?(一般の方は知らない方がほとんどです )
ご不明な場合はご連絡ください。ご説明致します。


大口町

大口町上小口1丁目

※旧既存宅地(どなたでも建築可)      
大口町 売り地・土地

価 格  全区画 成約済みになりました<(_ _)>
所在地  丹羽郡大口町上小口1丁目336番 [MAP]
交 通  名鉄犬山線「柏森」駅 約2.0㎞
土地面積 A区画:183.09㎡(約55.38坪)
     B区画:239.79㎡(約72.53坪)
土地権利 所有権
地 目  宅地(旧既存宅地)
現 況  更地

引渡条件 現状渡し
都市計画 
市街化調整区域
建ぺい率 
60%
容積率  200%
接道状況 側 幅員約4.0mの公道に接道
備 考


扶桑町

現在、扶桑町の売り地はございません。

稲沢市

稲沢市平和町

北名古屋市 売り地・土地

価 格  717万円(15.0万円/坪)
所在地  稲沢市平和町下起中382番1 [MAP]
交 通  名鉄尾西線「渕高」駅 約1.1㎞
     名鉄尾西線「六輪」駅 約1.2㎞
土地面積 158㎡(約47.79坪)
土地権利 所有権
地 目  畑
現 況  草生地(更地渡し)

引渡条件 更地・確定測量後渡し
都市計画 市街化区域
用途地域 準工業地域
建ぺい率 60%
容積率  200%
接道状況 北側 幅員約4.5mの公道に接道
     東側 幅員約4.0mの公道に接道
備 考  農地法の届出を要す

岩倉市

現在、岩倉市の売り地はございません。

北名古屋市

北名古屋市井瀬木

師勝小・師勝中学校区 建築条件なし♪
北名古屋市 売り地・土地

価 格  成約済みになりました<(_ _)>
所在地  北名古屋市井瀬木五反地21番1 [MAP]
交 通  名鉄犬山線「西春」駅 約1.5㎞
     きたバス「JA師勝支店」停 約160m
土地面積 155.80㎡(約47.12坪)
土地権利 所有権
地 目  宅地
現 況  更地(造成工事中)

引渡条件 相談
都市計画 市街化区域
用途地域 第一種中高層住居専用地域
建ぺい率 60%
容積率  200%
接道状況 北側 幅員約mの公道に水路敷き(約1.5m)を挟み接道
     通路橋許可:28指令北施 第2-0016号許可
備 考


その他のエリア

羽島郡笠松町天王町 New!

名古屋市瑞穂区 売り地・土地

価 格  1314万円(35.0万円/坪)  
所在地  羽島郡笠松町天王町72番5 [MAP]
交 通  名鉄「西笠松」駅 約11m ※駅の目の前です
土地面積 124.15㎡(約37.55坪)
土地権利 所有権
地 目  宅地
現 況  更地(土地賃貸中)

引渡条件 相談
都市計画 市街化区域
用途地域 商業地域
建ぺい率 80%
容積率  400%
接道状況 北西側 幅員約6.7m~11.5mの公道に接道
     北東側 幅員約7.5m~7.8mの公道に接道
備 考  西笠松駅の目の前物件


名古屋市瑞穂区

名古屋市瑞穂区 売り地・土地

価 格  成約済みになりました<(_ _)>
所在地  名古屋市瑞穂区弥富町字上山151番3 [MAP]
交 通  地下鉄名城線「総合リハビリセンター」駅 約300m
土地面積 233.43㎡(約70.61坪)
土地権利 所有権
地 目  宅地
現 況  更地

引渡条件 相談
都市計画 市街化区域
用途地域 第一種低層住居専用地域
建ぺい率 30%
容積率  100%
接道状況 西側 幅員約4.0mの公道に接道
備 考


別荘地・山林 他

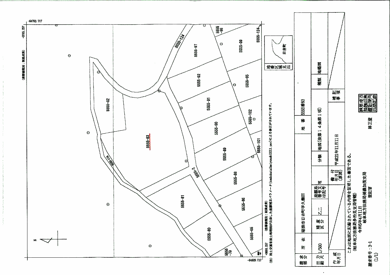
瑞浪市日吉町

JR中央線「釜戸」駅 約6.2㎞ 480坪! の山林
別荘地・山林・原野 売り地

価 格  成約済みになりました<(_ _)>
所在地  岐阜県瑞浪市日吉町字久瀬田5555番83 [MAP]
交 通  JR中央線「釜戸」駅 約6.2㎞
土地面積 1589㎡(約480.67坪)※公簿面積
土地権利 所有権
地 目  山林
現 況  雑木林

引渡条件 現状渡し
備 考
※この物件は現状有姿渡しとなります。
 (契約前に必ず現地をご確認願います)
※契約時には事務手数料として55,000円が必要です。
※敷地内に中部電力の電柱2本あり


郡上市高鷲町鮎立

「高鷲」インター 約5.5㎞ 61坪の別荘地!
別荘地・山林・原野 売り地

価 格  50万円(8183円/坪)
所在地  岐阜県郡上市高鷲町鮎立5469-149番 [MAP]
交 通  東海北陸自動車道「高鷲」IC 約5.5㎞
    (※やまびこロード「明野高原キャンプ場」 約550m)
土地面積 202㎡(約61.10坪)※公簿面積
土地権利 所有権
地 目  山林
現 況  更地

引渡条件 現状渡し
備 考
※この物件は現状有姿渡しとなります。
 (契約前に必ず現地をご確認願います)
※契約時には事務手数料として55,000円が必要です。
※明野白樺台 2-85-C3号地
※明野白樺台管理規約あり


郡上市明宝奥住

「郡上八幡」駅 約23㎞ 1547坪! の山林
別荘地・山林・原野 売り地

価 格  成約済みになりました<(_ _)>
所在地  岐阜県郡上市明宝奥住487番 他 [MAP]
交 通  長良川鉄道越美南線「郡上八幡」駅 約22.4㎞
     東海北陸自動車道「郡上八幡」IC 約23.2㎞
    (※せせらぎ街道「道の駅明宝」 約7.3㎞)
土地面積 5114.00㎡(約1546.98坪)※公簿面積
土地権利 所有権
地 目  山林・原野・雑種地
現 況  雑木林

引渡条件 現状渡し
備 考
※この物件は現状有姿渡しとなります。
 (契約前に必ず現地をご確認願います)
※契約時には事務手数料として55,000円が必要です。


売買
賃貸
パークダイレクト

会社案内

株式会社ワイズホーム
〒491-0042
愛知県一宮市松降1丁目11番16号
フリーダイヤル | 0120-710-430
電話 | 0586-71-0800
FAX | 0586-71-0813
営業時間 | 10:00~18:00
定休日 | 毎週 火曜日・水曜日

・土地(分譲地、別荘地)
・新築一戸建て住宅
・中古一戸建て住宅
・中古マンション
・売り店舗、事務所
・売り倉庫、工場
・投資用物件
・アパート、マンション
・一戸建貸家
・貸店舗、貸事務所
・貸倉庫、貸し工場
・駐車場(月極駐車場)
・貸し地、事業用定期借地
※その他の物件も是非一度ご相談ください

アクセス